Trei români aflaţi pe insula Saint-Martin, dispăruţi în urma uraganului Irma
Trei români sunt dispăruţi după ce uraganul Irma a măturat mai multe insule din Caraibe. Ei se aflau pe insula Saint-Martin, iar rudele nu mai reuşesc să ia legătura cu ei de mai bine de 10 ore. Ministerul Afacerilor Externe (MAE) a transmis, joi dimineaţă, că are în atenţie cazul celor trei români care nu mai pot fi contactaţi de către familii şi că a făcut demersuri pentru a obţine informaţii cu privire la existenţa unor cetăţeni români afectaţi de uraganul Irma.
Trei români sunt de negăsit după ce uraganul Irma a măturat mai multe insule din Caraibe. Aceştia se aflau pe insula Saint-Martin, iar rudele nu mai reuşesc să ia legătura cu ei.
„Sunt trei români. Este soţul meu şi încă doi români care lucrează acolo şi nu reuşim să dăm deloc de ei. Ştiu că…Eu am mai fost în uragan. Locuiesc în zonă de mulţi ani, dar e un sentiment neplăcut”, a declarat pentru Digi24 Ioana Bercean, soţia unuia dintre români.
„Ultima dată am vorbit cu soţul meu în jurul orei 1 (ora 13:00, n.r.) şi atunci am vorbit la telefon. Înainte de asta, căzuse curentul. De fapt, în timpul unor astfel de evenimente se taie utilităţile, apă, curent, tocmai pentru a se evita alte dezastre, dar liniile telefonice mai mergeau. În jurul orei 1 am vorbit ultima dată cu el şi de atunci nu mai funcţionează nimic, dar ştiu că între timp a trecut şi (uraganul – n.r.) Irma peste ei. Când am vorbit eu la ora 1.00, tocmai se pregăteau să intre în ochiul uraganului, urma perioada aceea de acalmie. Acum am văzut că e deja în Puerto Rico. A trecut de ei. În principiu, a trecut de ei, dar nu există niciun fel de posibilitate de comunicare cu ei, acolo. Sunt afectată, pentru că eu duminică am plecat de acolo. Eu am venit să mă înscriu la şcoala doctorală. Am trecut prin atâtea uragane, dar acesta este cel mai puternic pe care Saffire l-au înregistrat în Oceanul Atlantic, adică, nici măcar nu mai puteau să îl încadreze la categoria 5”, a spus românca.
Ministerul Afacerilor Externe (MAE) a transmis, joi dimineaţă, că are în atenţie cazul celor trei români care nu mai pot fi contactaţi de către familii şi că a făcut demersuri pentru a obţine informaţii cu privire la existenţa unor cetăţeni români afectaţi de uraganul Irma.
„Ministerul Afacerilor Externe a întreprins, în regim de urgenţă, încă din primele momente, demersuri pentru a obţine informaţii cu privire la existenţa unor cetăţeni români afectaţi de uraganul Irma. Menţionăm, de asemenea, că MAE are în atenţie cazul celor trei cetăţeni români aflaţi în insula St. Marteen, care nu mai pot fi contactaţi în urma uraganului Irma. Ambasada României la Washington a întreprins, în regim de urgenţă, demersuri pe lângă autorităţile din St. Marteen, pentru a verifica situaţia acestora. De asemenea, prin intermediul Ambasadelor României la Paris şi Haga, au fost efectuate demersuri pe lângă autorităţile franceze respectiv olandeze, pentru obţinerea de informaţii privind existenţa unor cetăţeni români în zona afectată”, au anunţat reprezentanţii Ministerului de Externe, joi dimineaţă.
Ei precizează că, din cauza condiţiilor meteorologice, comunicarea cu autorităţile din zona afectată se face cu dificultate.
„Ministerul Afacerilor Externe, prin intermediul misiunilor diplomatice, este pregătit să acorde asistenţă consulară, în funcţie de solicitări”, adaugă MAE.
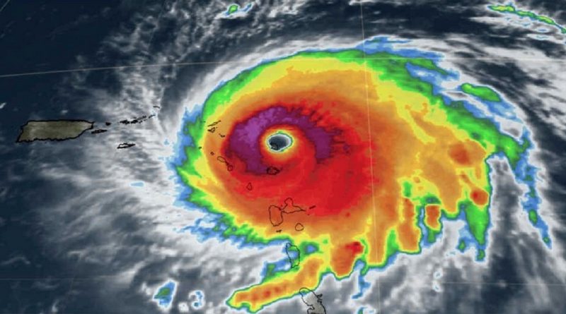
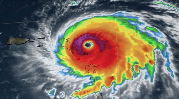
Uraganul de categoria 5 Irma a devastat mai multe insule din Caraibe şi a făcut deja primele victime. Cel puţin doi oameni au murit şi mai mulţi sunt daţi dispăruţi. Autorităţile locale vorbesc despre importante pagube materiale, dar proporţiile dezastrului sunt imposibil de estimat deocamdată.
news.ro

